来源:本网 发布日期:2022-09-02
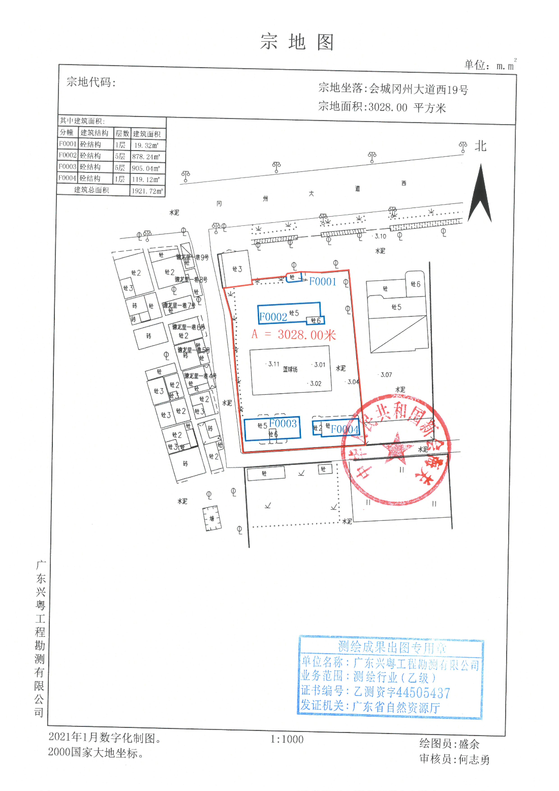
经批准,拟补办中华人民共和国新会海关位于新会区会城冈州大道西19号面积3028平方米的地块用地用地手续,权利性质为国有划拨,用途为机关团体用地。现将补办的用地红线(详见附图)向社会进行公示。公示期10天,在公示期间,各单位和个人如对该公示有异议,请与江门市新会区自然资源局联系。公示期满无人提出异议的,我局将按此方案补办该红线用地手续。
联系单位:江门市新会区自然资源局
联系电话:0750—6322117
联系人:李生
江门市自然资源局
2022年9月2日
