今天是
关怀版     无障碍     网站支持IPV6

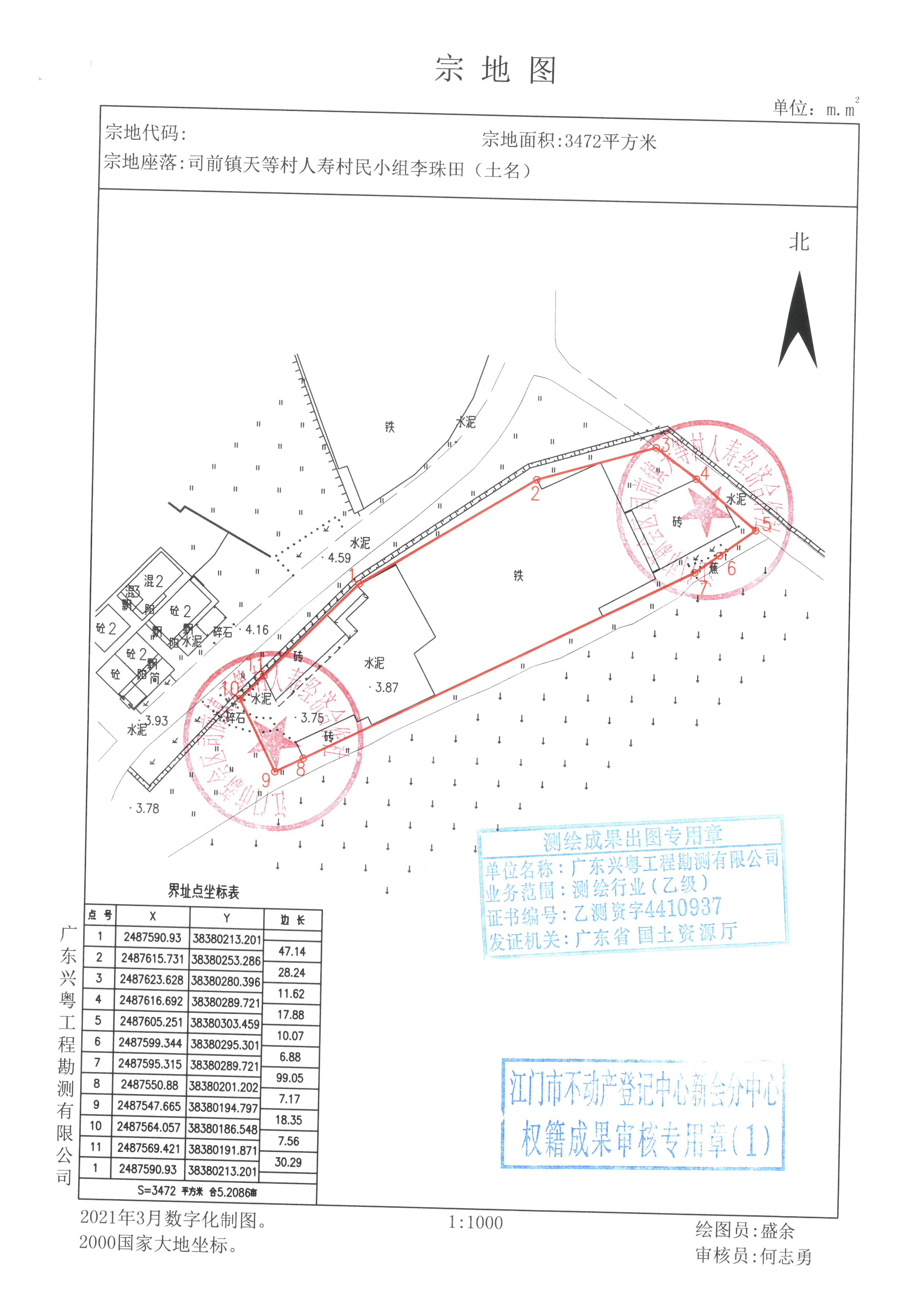
江门市新会区自然资源局集体建设用地使用权拨用公示

来源:本网    发布日期:2023-07-19

  一、地块基本情况 :

地块位置

司前镇天等村人寿村民小组李珠田(土名)

土地用途

工业用地

土地面积(公顷)

0.3472

项目名称

天等人寿金属制品生产项目

用地单位

江门市新会区司前镇天等村人寿经济合作社

备注:


  二、公示期:2023年7月19日至2023年7月28日

  三、意见反馈方式:

  在公示时限内,任何单位、组织和个人对本公示所列内容有异议的,请以书面材料形式向我局反映。公示期满后,无异议或虽有异议但经审查没有发现存在违反法律法规行为的,我局将依法报有批准权限的人民政府审批。

  四、联系方式

  联系单位:江门市新会区自然资源局

  单位地址:江门市新会区会城街道中心南路17号

  邮政编码:529100

  联系电话:0750-6322023

  联 系 人:邓小姐



江门市新会区自然资源局

2023 年7月19日     


3472.jpg