今天是
关怀版     无障碍     网站支持IPV6

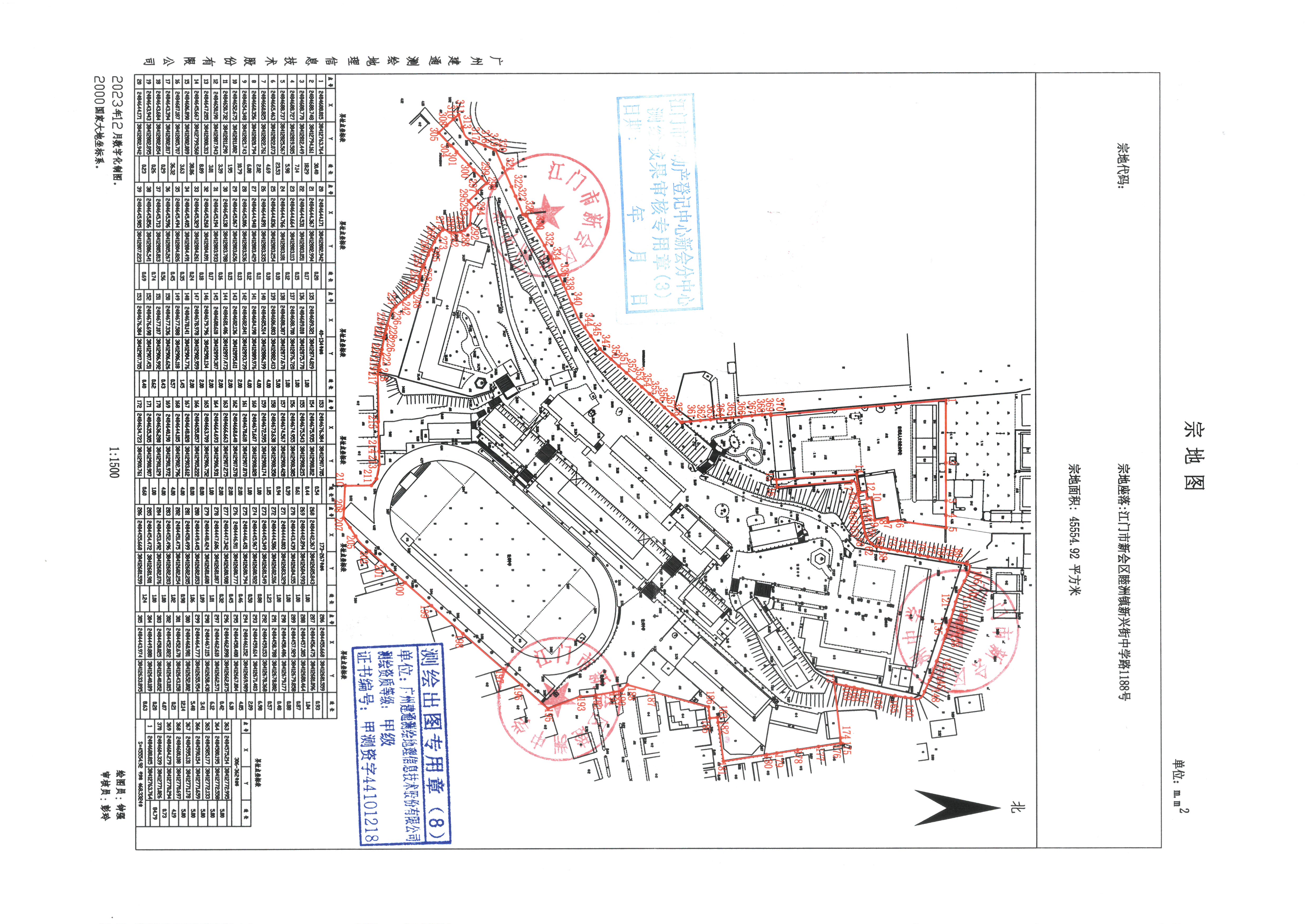
江门市新会区自然资源局国有土地划拨用地批前公示

来源:本网    发布日期:2025-01-08

     一、地块基本情况

地块编号

HB2025-001

地块位置

江门市新会区睦洲镇新兴街中学路1188号地块

土地用途

教育用地

土地面积(公顷)

4.555492

项目名称

睦洲中学建设工程

用地单位

江门市新会区睦洲中学

备注:


     二、公示期:2025年1月8日至2025年1月19日

     三、意见反馈方式

     在公示时限内,任何单位、组织和个人对本公示所列内容有异议的,请以书面材料形式向我局反映。公示期满后,无异议或虽有异议但经审查没有发现存在违反法律法规行为的,我局将依法报有批准权限的人民政府审批。

     四、联系方式
       联系单位:江门市新会区自然资源局

     单位地址:江门市新会区会城街道中心南路17号

     邮政编码:529100

     联系电话:0750-6322023

     联 系 人:邓小姐



江门市新会区自然资源局

2025年1月8日